Online Absolute Real Estate Auction
Bidding begins closing Wednesday, November 1st at 6:00PM
Nearly 300 Acres of Land in 20 Tracts Selling for One Bid
SELLS TO THE HIGHEST BIDDER
All tracts will be sold for a single bid. The tracts will not be offered individually. All Properties have been surveyed in October of 2022. *Valuable Timber on MOST of the Parcels*
Tract Descriptions Match ERP Tract No. On the Map
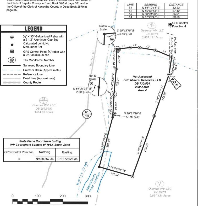
Tract 5: Morris Drive-Montgomery, WV
5.43 Surveyed Acres
GPS Coordinates: 38.138954, -81.335983
Tract 7: Morris Drive – Montgomery, WV
6.78 Surveyed Acres
GPS Coordinates: 38.126900, -81.323863
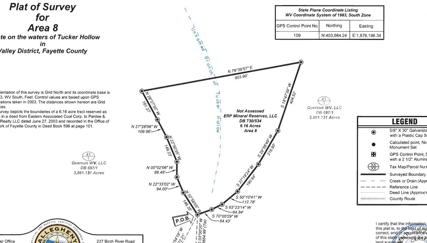
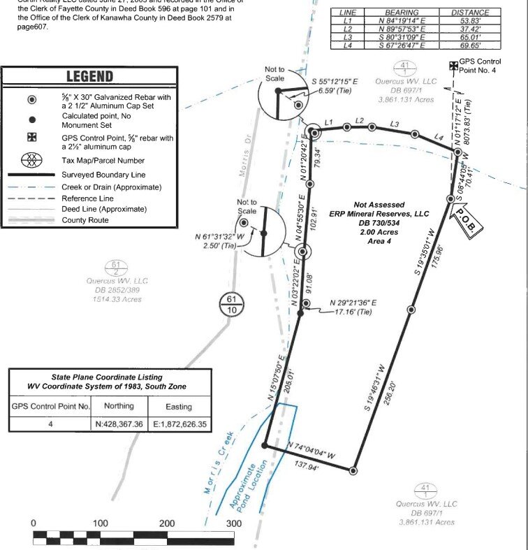
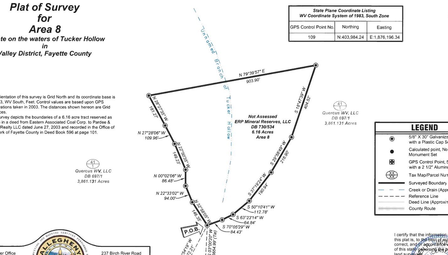
Tract 8: Morris Drive-Montgomery, WV
6.16 Surveyed Acres
GPS Coordinates: 38.128756, -81.320687
Tract 9: Craig Hollow-Kimberly, WV
26.83 Surveyed Acres
GPS Coordinates: 38.110230, -81.330297
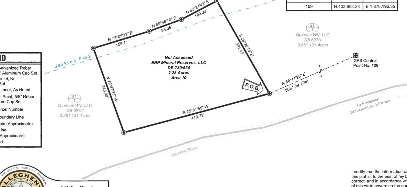
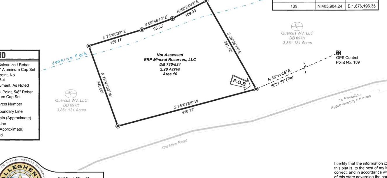
Tract 10: Craig Hollow-Kimberly, WV
2.28 Surveyed Acres
GPS Coordinates: 38.103378, -81.336792
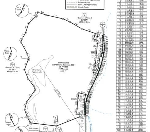
Tract 11: 1908 Elkridge Road-Powellton, WV
60.71 Surveyed Acres
GPS Coordinates: 38.072465, -81.336145
Tract 12: 2145 Elkridge Road-Powellton, WV
15.97 Surveyed Acres
GPS Coordinates: 38.070881, -81.333923
Tract 13: Amstrong Creek Road-Powellton, WV
19.07 Surveyed Acres
GPS Coordinates: 38.057219, -81.308927
Tract 14: Armstrong Creek Road-Powellton, WV
2.24 Surveyed Acres
GPS Coordinates: 38.055333, -81.305259
Tract 15: Armstrong Creek Road-Powellton, WV
1.01 Surveyed Acres
GPS Coordinates: 38.054352, -81.300241
Tract 16: Armstrong Creek Road-Powellton, WV
11.24 Surveyed Acres
GPS Coordinates: 38.053646, -81.304694
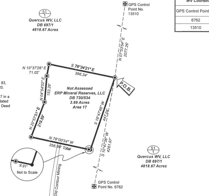
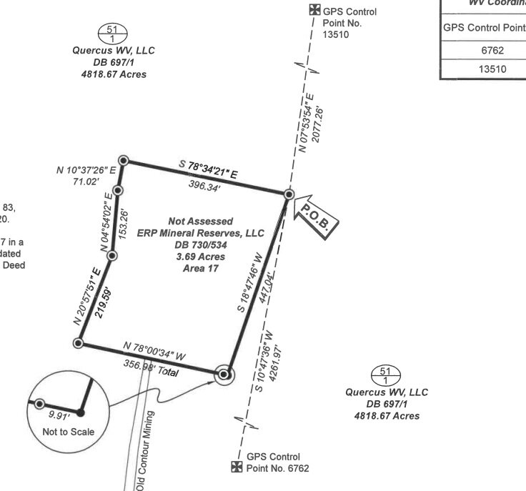
Tract 17: Burnwell Mountain Road-Powellton, WV
3.69 Surveyed Acres
GPS Coordinates: 38.039859, -81.329051
Tract 18: Burnwell Mountain Road-Powellton, WV
1.01 Surveyed Acres
GPS Coordinates: 38.043650, -81.319268
Tract 19: Burnwell Mountain Road-Powellton, WV
11.84 Surveyed Acres
GPS Coordinates: 38.041300, -81.313880
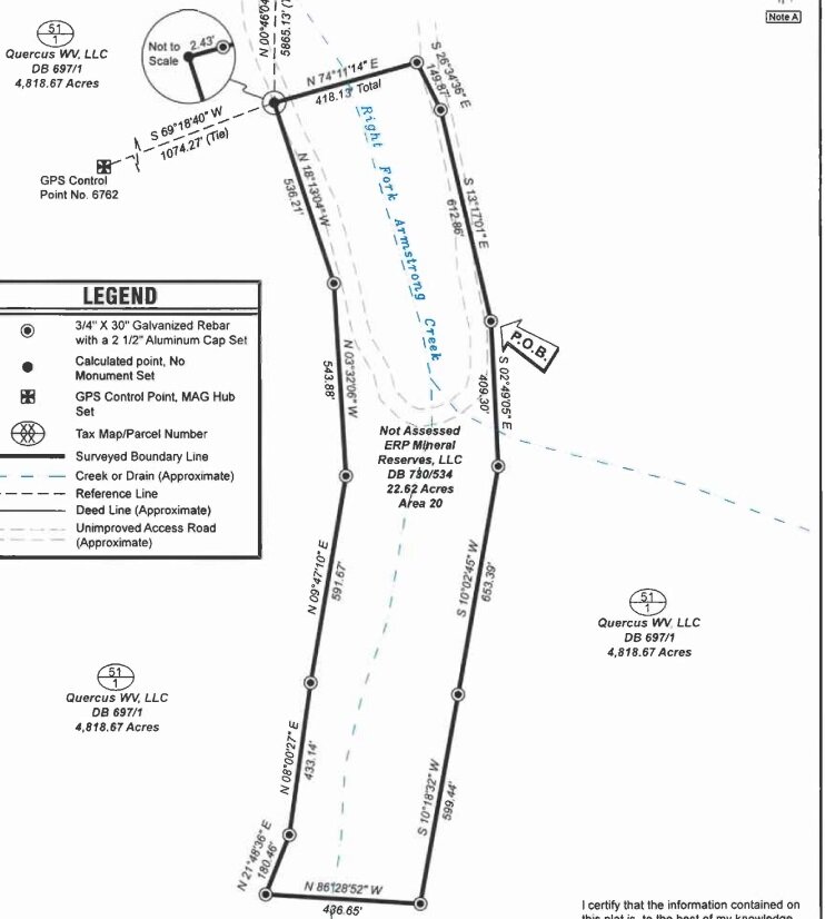
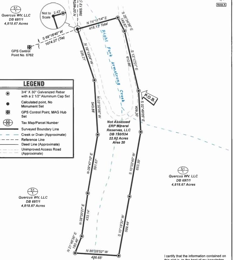
Tract 20: Burnwell Mountain Road-Powellton, WV
22.62 Surveyed Acres
GPS Coordinates: 38.030879, -81.326386
Tract 21: Kincaid Kinston Rd-Kincaid, WV
70.44 Surveyed Acres
GPS Coordinates: 38.030804, -81.288406
Tract 22: Kincaid Kinston Rd-Kincaid, WV
15.53 Surveyed Acres
GPS Coordinates: 38.035688, -81.283092
Tract 23: Kincaid Kinston Rd-Kincaid, WV
8 Surveyed Acres
GPS Coordinates: 38.028466, -81.285106
This is a GREAT Opportunity for a MAJOR Investment
Questions? Please call Taylor Ramsey, Agent (304)-552-5201
REAL ESTATE TERMS: 20% nonrefundable down payment made day of auction (or within 24 hours for online bidders) with balance due at closing. Cash, check, & wire transfer accepted. Credit cards will not be accepted for the down payment. No financing contingencies will be entered into the contract. Any required inspections must be completed prior to bidding. Property is being sold as is, where is with no warranty written or implied.
Property will be sold free and clear of all liens. Seller is conveying surface rights only with no oil, gas, coal, mineral, or other subsurface interests conveyed. Property will be conveyed by Special Warranty Deed. 60 days given to close. Closing shall be held at the offices of Phyxius Law or at such other location as Seller shall designate. Seller is responsible for the cost of preparing the deed. All other closing costs are the responsibility of the Purchaser. Announcements sale day take precedence over all advertisements published. 10% Buyers Premium will be added to determine final contract price. Name of purchaser on contract must be the name of the winning bidder or an entity which the winning bidder legally represents. No exceptions. Real estate sold subject to owner confirmation unless otherwise noted.
AGENCY DISCLOSURE: Joe R. Pyle Auction and Realty Service is acting as Auctioneer/Agent and is an agent for the seller only.
DISCLAIMER: All information regarding the description of this property is derived from sources deemed reliable but not warranted. Information is believed to be correct to the best of auctioneer/agent’s knowledge but is subject to inspection and verification by all parties relying on it. Sellers, their representatives and auctioneer/agent shall not be liable for inaccuracies, errors, or omissions.
Any references to acreage, unless otherwise noted, are derived from public record and are not warranted. Buyers are responsible for conducting their own research prior to bidding.
BUYER/BROKER INFORMATION: Commission will be paid to any properly licensed buyer's broker who registers a successful buyer according to the Broker Participation Guidelines. Broker registration forms are available on our website or from the company office. Broker must be registered 24 hours prior to Auction. Brokers/Agents are not entitled to a commission if they are the purchaser.
We don't just list your property - WE SELL IT!
JOE R. PYLE COMPLETE AUCTION & REALTY SERVICE
Joe R. Pyle, Broker
(888) 875-1599
5546 Benedum Drive Shinnston West Virginia 26431
www.joerpyleauctions.com
Charlotte Pyle WV2174
Alan Heldreth WV2224
Jordan Kiger WV2246
Bob Stewart, Jr WV825
Bob Stewart, III WV1292
Todd Short WV1649
Tia Wolski WV 2351
Joe Panico WV 2353
Ethan Moore WV 2354
Taylor Ramsey WV2352
Joe Panico WV WV2353
Nick Dawkins WV2410
Jonathan Leep WV2452A






































































































